Is Visia Skin Analysis Worth It?
This article explores the key features, limitations, and applications of the VISIA skin analysis—while also comparing it with more accessible alternatives.
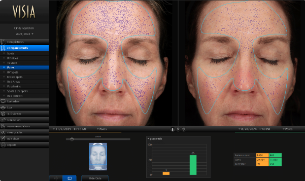
What is VISIA Skin Analysis?
VISIA Skin Analysis is an advanced imaging system that uses high-resolution photos and multi-spectral lighting to capture detailed images of the skin’s surface and layers. It helps professionals detect issues like wrinkles, pigmentation, pores, and UV damage that aren’t easily visible, enabling more precise and personalized skincare treatments.

Visia Skin Analysis Machine Limitations and Considerations
Cost and Investment
The VISIA Gen7 system integrates advanced multispectral imaging and precision analysis algorithms, which makes it a highly professional but expensive piece of equipment. Beyond the high upfront cost of the hardware, users must also factor in ongoing software licensing fees, routine maintenance, and eventual hardware upgrades. This substantial financial burden means that VISIA is primarily suited for well-funded medical aesthetic clinics, rather than individual consumers or smaller skincare studios. As a result, its high cost of entry significantly limits its accessibility and widespread adoption in the market.
Requirement for Professional Expertise
Although VISIA Gen7 system's user interface has become increasingly intelligent, the system still relies heavily on the operator’s professional understanding of skin diagnostics. For instance, precise control over camera angle and lighting is essential during image capture, and interpreting the resulting reports requires in-depth knowledge of how different skin metrics correlate. Without formal training, users may capture suboptimal images or misinterpret the data, leading to inaccurate assessments. Therefore, professional training and hands-on experience are crucial for utilizing VISIA skin analysis machine effectively and responsibly.
Technical and Biological Limitations
While VISIA® camera system performs exceptionally well in skin analysis, it is not without its technical and biological constraints. For individuals with higher melanin levels, the imaging data can be affected by optical interference, potentially reducing accuracy. Additionally, any movement by the subject during scanning, inconsistent lighting, or partial facial obstruction can result in distorted or inconsistent data outputs.
As Lee, Kim, and Park (2019) highlighted in their study, “Precision dermatology: The role of imaging and AI in personalized skincare”, imaging-based tools play a valuable role in personalized skincare, but they still face challenges such as variability in skin tone and physiological conditions. Final diagnoses should always be supported by clinical evaluation alongside image-based findings (Lee, Kim, & Park, 2019).
This underscores a critical point: although VISIA skin analysis equipment offers quantifiable insights, it cannot replace professional judgment. When analyzing skin conditions in individuals with unique skin types or health histories, the system should be treated as an auxiliary tool. Dermatological evaluations and patient interviews remain essential for forming a comprehensive understanding and tailored skincare plan. In short, VISIA enhances diagnostics—but it is not a standalone solution.

Necessity of Clinical Interpretation
VISIA® camera system generates detailed metrics, such as pore count, pigment distribution, and vascular mapping. However, these results are not self-explanatory. For example, a high “spot score” does not automatically indicate severe hyperpigmentation—it must be interpreted in context, taking into account factors like age, lifestyle, and individual skin type. Without clinical expertise, these data points can be misused or misunderstood.
True personalized skincare comes from combining VISIA system’s technological output with the diagnostic experience of dermatologists. Blind reliance on machine-generated data without human analysis may not only lead to ineffective treatments but also increase the risk of misdiagnosis and wasted resources. Therefore, the value of VISIA lies not in automation alone, but in how it empowers professionals to make more informed, data-driven decisions.
How Does VISIA 3d skin analysis Compare to DJM Imoreme?
In practical use within retail stores or aesthetic clinics, the DJM Imoreme smart skin analyzer demonstrates several distinct advantages, making it particularly well-suited for these settings. Unlike VISIA 3d skin analysis—which are generally large, stationary devices requiring dedicated space and highly trained operators—the Imoreme skin analysis device is designed with portability, simplicity, and rapid deployment in mind. Its compact design enables effortless installation on store counters or in treatment rooms, without the need for extensive infrastructure modifications.
Moreover, DJM Imoreme prioritizes user-friendliness, allowing store personnel or beauty consultants with minimal technical training to quickly capture precise skin data and deliver immediate, visually intuitive reports to customers. This streamlined workflow significantly boosts customer engagement and facilitates tailored skincare consultations directly at the point of sale.
Beyond ease of use, Imoreme skin analysis equipment excels in connecting skin analysis results seamlessly with customized product recommendations, ensuring that each client receives exactly the skincare solutions their skin requires for optimal results. These data-driven insights empower businesses to effectively promote targeted products, enhancing both customer satisfaction and brand loyalty.

Another important consideration is cost-efficiency. Compared to the substantial initial investment and ongoing maintenance expenses associated with VISIA 3d skin analysis, DJM Imoreme offers a more budget-friendly alternative. This affordability makes advanced skin analysis technology accessible to smaller and mid-sized beauty retailers, without imposing heavy financial burdens.
Additionally, the Imoreme skin analysis equipment platform integrates smoothly with mobile devices and cloud-based systems, simplifying customer data management and enabling easy follow-up consultations. This digital connectivity fosters stronger, ongoing customer relationships, encouraging repeat business and contributing to sustainable revenue growth.
To sum up, DJM Imoreme provides an accessible, efficient, and cost-effective skin analysis solution specifically tailored for retail and clinical environments. By combining straightforward operation, personalized product recommendations, enhanced marketing capabilities, and an improved customer experience, Imoreme helps businesses elevate service quality and drive sales growth—without the complexity or high cost typically associated with traditional VISIA® camera system.
Who Should Consider VISIA Gen7 system?
Medical Aesthetic Clinics and Dermatologists
VISIA Gen7 system is particularly well-suited for professionals operating in medical aesthetics and dermatology who require reliable, data-driven tools for comprehensive skin evaluation. By capturing ultra-high-resolution imagery and delivering in-depth, multi-layered analysis, VISIA enables practitioners to identify subtle skin issues that may not be visible to the naked eye. As a result, they can develop more precise, customized treatment plans that enhance clinical effectiveness, boost patient confidence, and support evidence-based practice.
High-End Consumers with Specific Skincare Goals
For individuals who demand exceptional precision and personalization in their skincare routines, VISIA offers unmatched value. Its ability to analyze both surface and subsurface skin conditions allows users to gain a thorough understanding of their skin’s health status. Supported by objective data, these insights lead to customized care plans that reflect each user’s unique skin needs—making VISIA Gen7 system a top choice for those who expect clinical-grade analysis as part of their skincare journey.

Science-Driven Skincare Enthusiasts
Skincare users who prioritize scientific accuracy and quantifiable results will find VISIA 3d skin analysis to be a powerful ally. Through advanced imaging technologies and intelligent algorithms, the system helps track skin changes over time, providing a reliable basis for adjusting skincare strategies. For this audience, it transforms skin analysis from a subjective process into a measurable, insight-led experience grounded in dermatological science.
Clients with Adequate Budget and Long-Term Skin Management Plans
Because VISIA requires a significant initial investment and regular upkeep, it is best suited for individuals or businesses with sufficient financial resources and a long-term commitment to skin health. These clients typically value the ability to monitor progress over time, make data-informed decisions, and collaborate with professionals for ongoing, customized skin improvement. It supports this with consistent, professional-grade diagnostics that align with their broader skincare goals.
Conclusion
While VISIA Skin Analysis remains a gold standard in clinical-grade skin diagnostics, it is not without limitations. Its high cost, need for professional interpretation, and certain technical constraints make it better suited for medical professionals and specialized clinics. On the other hand, emerging solutions like DJM Imoreme offer flexible, user-friendly, and cost-effective alternatives for beauty retailers and service providers.
Table of Contents
Related information
How can we help you?
Have specific questions or requests? Fill out our inquiry form, and our dedicated team will get back to you promptly. Your inquiries are important to us, and we are committed to providing comprehensive and personalized responses tailored to your needs.
Reach out to us today!Whether you are preparing to start your own
business in the beauty industry, are ready to upgrade your
equipment, or are just interested in our products,Contact us
today, and let’s explore how we can partner to achieve your goals
and drive your success to new heights!